?>

Aç kurt çiftliği bastı, danaya saldırdı

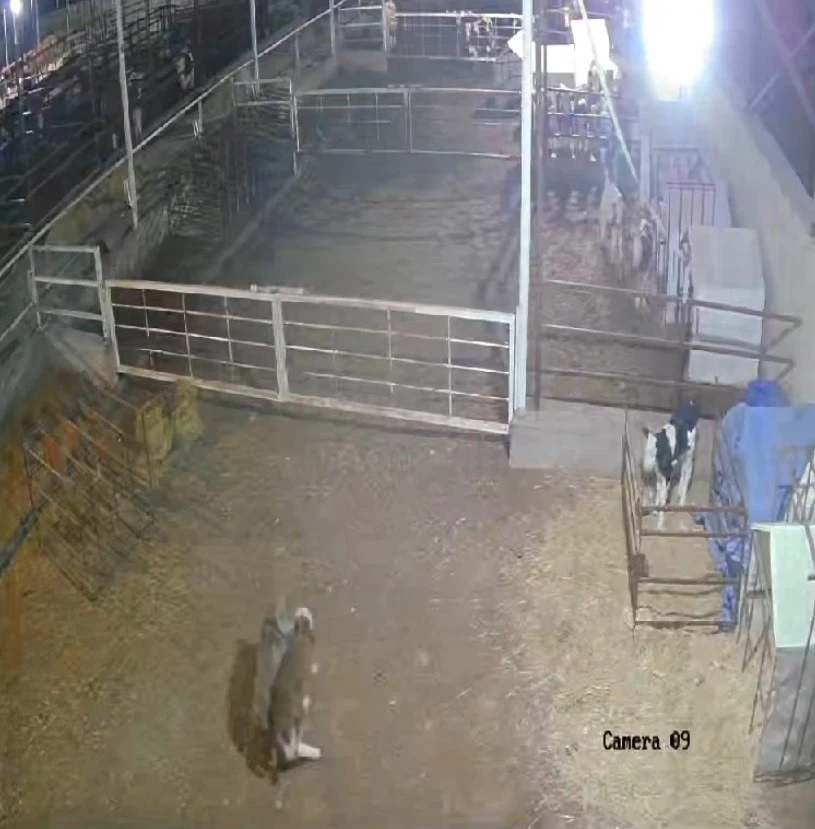
Kayseri'de aç kurdun büyükbaş hayvan çiftliğini basarak danaya saldırdığı anlar güvenlik kamerasına yansıdı.

Gündem - 11 ay önce

Kayseri’de aç kurdun büyükbaş hayvan çiftliğini basarak danaya saldırdığı anlar güvenlik kamerasına yansıdı.

Edinilen bilgiye göre, Melikgazi ilçesine bağlı Yeşilyurt Mahallesi’nde bulunan büyükbaş hayvan çiftliğinde geçtiğimiz 7 Ocak’ta meydana gelen olayda aç kalan bir kurt çiftliği bastı. Büyükbaş hayvanların bulunduğu alandaki danayı gözüne kestiren kurt, saldırdı. Saldırıya uğrayan dana uzun süre kurtulmak için çaba gösterse de telef olduğu öğrenildi.

Yaşanan olaylar çiftliğin güvenlik kamerasına yansıdı.

Haftanın Öne Çıkanları

İmamoğlu dini değerleri aşağılayan karikatüriste kültür evi açtı!

2025-01-07 13:22 - العربية

Sur’da halk lokantası açılıyor

2025-01-08 10:23 - Gündem

Türkmen Yüzbaşı Münir Höçük ve “Türkmendağı’nın abisi” Muhiddin Çukur şehit oldu

2025-01-06 17:47 - العربية

Jandarma duyurdu: Bünyesine 3590 subay alınacak!

2025-01-04 13:37 - العربية

Kasımpaşa-Gaziantep FK maçında yumruklar konuştu

2025-01-05 16:44 - Spor

Elektronik eşya deposu alev alev yandı

2025-01-10 00:14 - Asayiş

Siirt’te "Türkiye Yüzyılı Maarif Modeli" ilkesine uygun proje başlatıldı

2025-01-04 14:54 - Eğitim

Osmaniye’nin kurtuluşunun 103’üncü yılı coşkuyla kutlandı

2025-01-07 13:03 - Gündem

İstanbul'a kar ne zaman yağacak? 'Kesin' diyerek açıkladı! Meteoroloji'den yeni

2025-01-05 17:08 - العربية

Aç kurt çiftliği bastı, danaya saldırdı

2025-01-11 11:05 - Gündem

İlgili Haberler

MHP Sur teşkilatından Regaip Kandili ikramı

17:32 - Gündem

Taşların üzerindeki sessiz metinler anlam kazanıyor

17:12 - Gündem

Başkan Kavuş Şivliliğe çıkamayan çocukları unutmadı

17:21 - Gündem

Kütahya T Tipi Ceza İnfaz Kurumu’nda Regaib Kandili ikramı

17:15 - Gündem

Bakanlık listesinde Kayseri’den 2 firma

17:15 - Gündem

Günün Manşetleri

25 Aralık 2025 tarihinde Gaziantep’te Defin listesi

17:16 - Defin Listesi

Bakan Bak, çocuk ve gençlere seslendi: Abur cuburdan uzak duralım

17:13 - Spor

Gaziantep’te 25 Aralık 2025 Perşembe günü nöbetçi eczaneler

16:48 - Sağlık

Gaziantep Kulübü 2025 Geleneksel Hizmet Ödülü Töreni gerçekleştirildi

15:58 - Kültür

Aselsan Gaziantep Kayar Bilezik Fabrikası İçin Ortaklık İmza Töreni Gerçekleştirildi

15:40 - Teknoloji